1日(水)
干潮 16:00
満潮 16:00 小潮 晴れ
2日(木)
干潮 17:30
満潮 18:19 長潮 晴れ
草津 西尾さんら沖提で
アオリイカ釣り
釣果ーアオリイカ7ハイ
京都 村山さん朝倉で
チヌ釣り
釣果ーチヌ7匹
3日(金)

干潮 5:02 18:18
満潮 1:45 9:58 若潮 曇り
今日の アオリイカ釣りは
短時間で全員大漁。
あま市 澤田さん沖提で
アオリイカ釣り
釣果ーアオリイカ 11ハイ
写真のとうり
京都ー稲上さんら沖提で
アオリイカ釣り
釣果ーアオリイカ 10以上
写真のとうり

4日(土)
干潮 5:48 19:00
満潮 1:22 11:12 中潮 風雨強く
釣り客なし
5日(日)
干潮 6:31 19:40
満潮 1:19 12:16 中潮
午前中雨降り
6日(月)
干潮 7:17 20:19
満潮 1:28 13:17 大潮
強風 (西)
で一気に寒くなって。
7日(火)
干潮 8:06 20:57
満潮 1:46 14:18 大潮 晴
底揺れが残った。
8日(水)
干潮 8:58 21:34
満潮 2:09 15:20 大潮 曇り
9日(木)
干潮 9:51 22:09
満潮 2:36 16:23 大潮 曇り
台風の影響強風。釣り客なし
これで水温が下がる。
10日(金)
干潮 10:46 22:39
満潮 3:08 17:32 中潮
11日(土)


10/11の主な釣果です
干潮 11:45 22:32
満潮 3:45 18:58 中潮
南風強く


12日(日)

干潮 4:28
満潮 12:50 小潮 晴大津
大津 西井さん冠者島で
アオリイカ釣り
釣果ー大小合わせて
13ハイ
写真のとうり
京都 中川さん児島で
アオリイカ釣り
釣果ーアオリイカ7ハイ
写真のとうり

13日(月) スホーツの日
干潮 14:06
満潮 5:22 小潮
北東の風つよく 午前中雨
14日(火)
干潮 15:34
満潮 6:34 小潮 曇り
美濃加茂市 川合さん朝倉で
五目釣り
釣果ー ツバス 他
写真のとうり

15日(水)
干潮 16:53
満潮 8:06 長潮 曇り
釣り客なし
16日(木)
干潮
満潮 通院の為渡船は
休業します
- 17(金)
干潮 5:22 18:41
満潮 0:53 11:03 中潮
18日(土)
干潮 6:36 19:19
満潮 0:54 12:08 中潮 曇り
9:00~突風が吹きビビった。
安全地帯へ移動しホット。
犬山市 三輪さん児島で
アオリイカ釣り
~9:00
釣果ーアオリイカ 4ハイ
一杯400g~500g
神戸 前北さんら児島で
根魚釣り
釣果ーアコ 他
写真のとうり

19日(日)
干潮 7:15 19:50
満潮 1:02 13:04 中潮 曇り
釣り客なし
20日(月)
干潮
満潮 曇り
島山神社 祭礼につき
渡船は休業します。
21日(火)
干潮 8:22 20:34
満潮 1:28 14:41 大潮 曇り
10/21 風雨強く釣りは不可。
渡船は休業します。
22日(水)
大塚さんイカダ
干潮 8:54 20:18
満潮 1:43 15:26 大潮 曇り
23日(木)

干潮 9:28 20:50
満潮 2:00 16:12 大潮 曇り
やっと ヤエン用の爆釣れ。
名古屋 山田さんら冠者島で
アオリイカ釣り
釣果ーアオリイカ 7 アジ
写真のとうり

24日(金)

干潮 10:04 20:46
満潮 2:18 16:59 大潮 晴れ
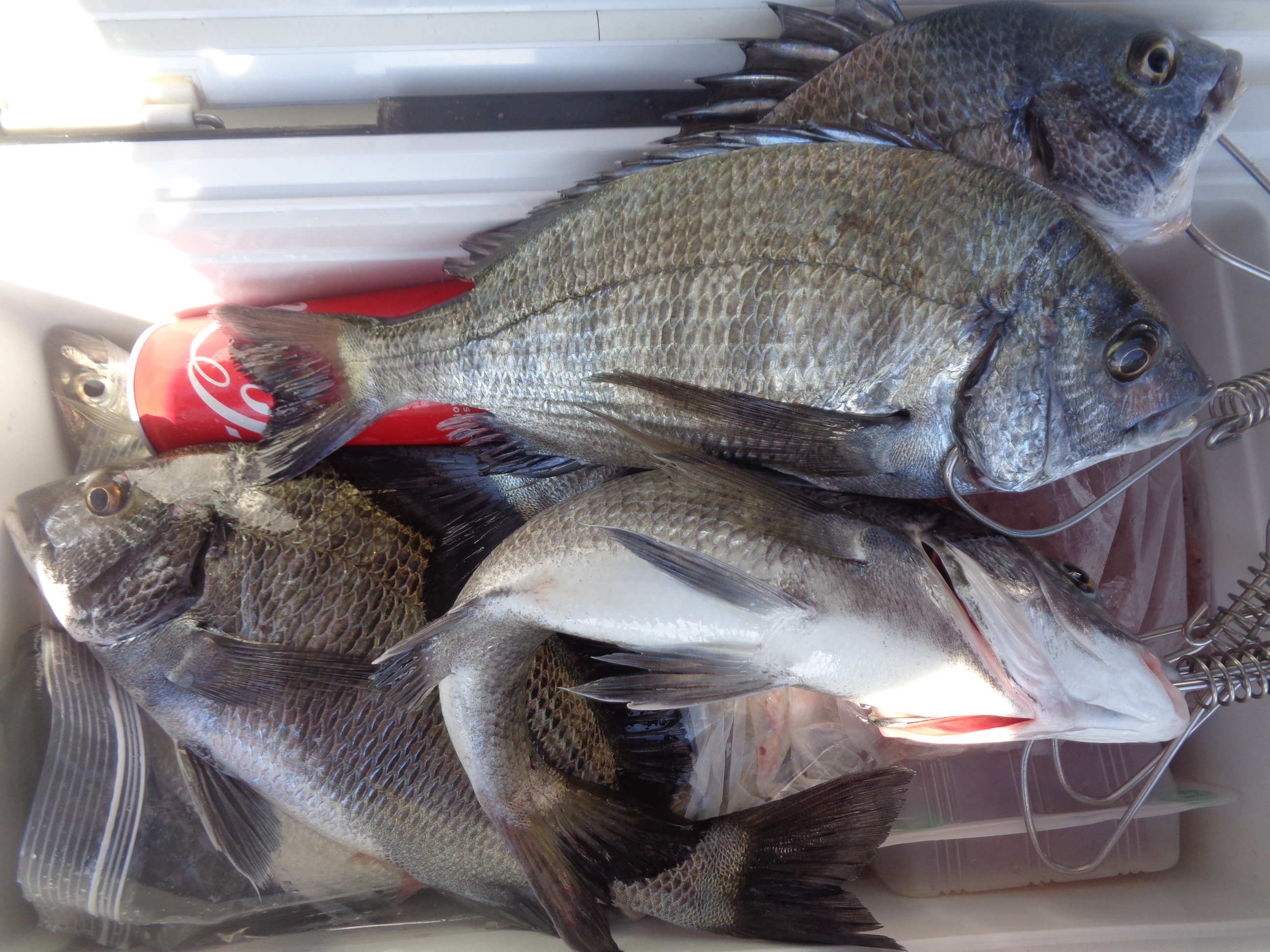
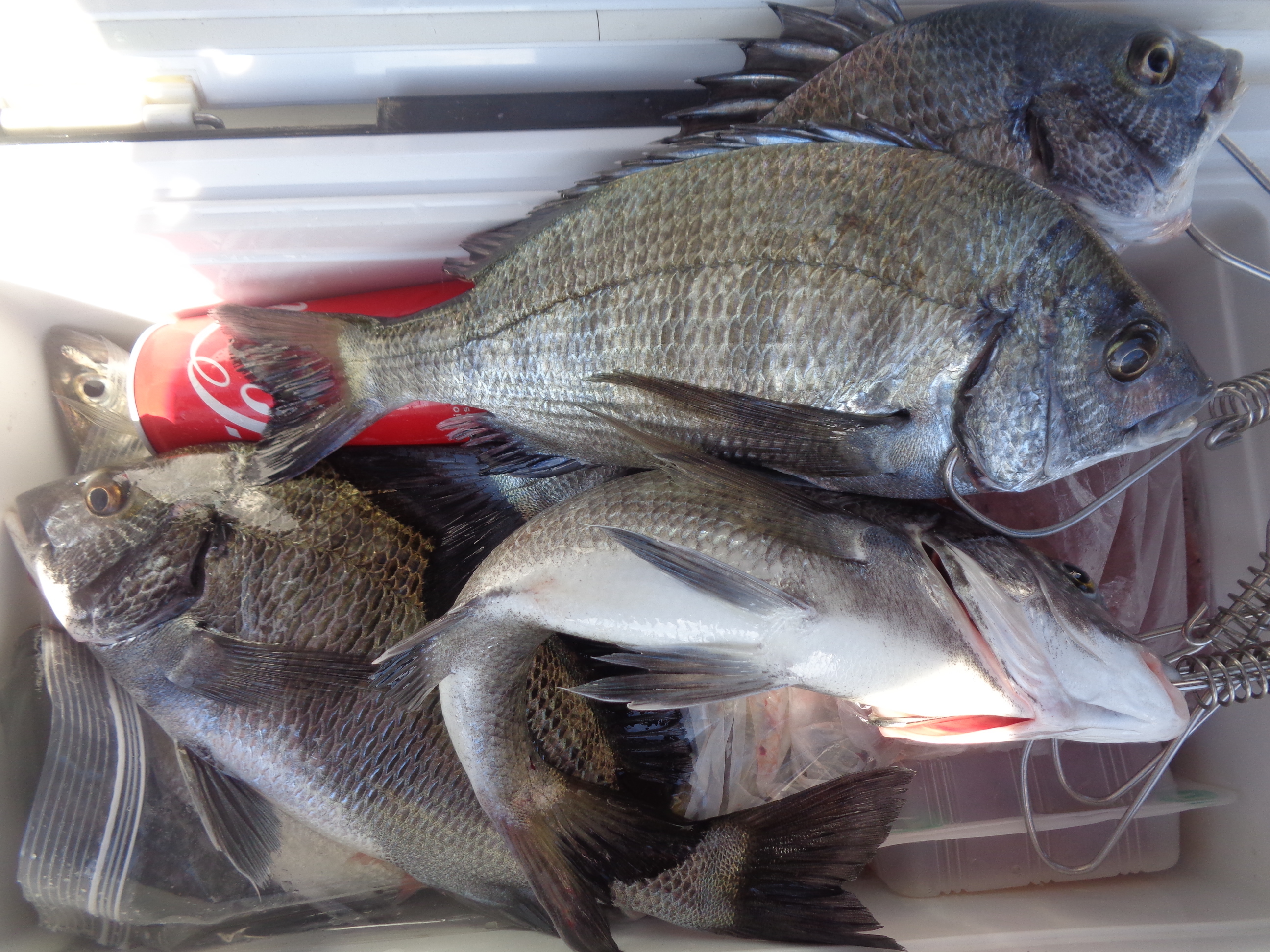
宇治市 岸野さん 林さん
西田さん
朝倉でチヌ釣り
釣果ーチヌ 30匹
写真のとうり
守山 尾下さん朝倉で
アジ釣り
釣果ー写真のとうり
長岡京 山中さん冠者島で
アオリイカ釣り
釣果ーアオリイカ16ハイ
写真のとうり


25日(土)


名古屋 田島さん夫妻児島で
根魚狙い
釣果ーアコ 10数匹 デカ
写真のとうり
干潮 10:43 20:29
満潮 3:39 17:52 中潮 曇
風波なし最高の釣り
日和でした。
宇治市 安道さん冠者島で
五目釣り
釣果ー真鯛 63c アコ
写真のとうり
湖南市 佐藤さん朝倉で
チヌ釣り
釣果ー 小チヌ ツバス
写真のとうり
大津 木村さん児島で
アオリイカ釣リ
釣果ーアオリイカ800g
頭に10ハイ
写真のとうり


26日(日)
干潮 11:26
満潮 3:01 中潮
朝から雨降りです
釣り客なし
27日(月)
干潮 12:15
満潮 3:26 中潮
明け方まで雨その後曇り
風強く 釣り客なし
28日(火)
干潮 13:12
満潮 3:55 小潮
午前中雨 北西の風強く。
釣り客なし
29日(水)
干潮 14:20
満潮 4:33 小潮
午前中北東の風強く
30日(木)


干潮 5:48
満潮 15:32 小潮 晴れ
亀岡 松岡さん 村井さん
でアジ釣り
ー 中アジ チヌ 写真のとうり
名古屋 山田さんら冠者島で
アオリイカ釣り
釣果ーアオリイカ11
写真のとうり



31日(金)
干潮 16:35
満潮 7:50 長潮 雨




