1日(土)
干潮 4:58 17:27
満潮 9:38 23:55 若潮 くもり
午後より雷雨
高島 中川さん朝倉で
五目釣り
釣果ーチヌ4匹
2日(日)

干潮 5:41 18:13
満潮 11:05 中潮 曇り雨
2:40~雨 急な雨で撤収にビビッタ。
大津 稲尾さん朝倉で
チヌ釣り
釣果ーチヌ
写真のとうり
京都 福嶋さん朝倉で
五目釣り
釣果ーヒラメ
写真のとうり
今日のアオリイカは各人8, 5 ,2 ハイ
アジはやっと釣れるようになったが
青アジが多いです。

3日(月)文化の日
干潮 6:24 18:56
満潮 0:03 12:19 中潮
雨ふりです。釣り客なし
4日(火)
干潮 7:10 19:36
満潮 0:20 13:29 中潮 曇り
イカ釣りは昨日の雨の濁りが
残り釣果はイマイチ。

5日(水)

干潮 7:59 20:15
満潮 0:45 14:35 大潮 曇り
風なし 最高の
釣り日和でした。
加茂郡 小原さんイカダで
アオイカ釣り
エギです。
釣果ーアオリイカ7ハイ
写真のとうり
長岡京市 山中さん
冠者島で
アオリイカ釣リ
ヤエンです
釣果ーアオリイカ8ハイ
写真のとうり

6日(木)

干潮 12:26
満潮 3:56 中潮 曇り
サバ 中アジ釣れました。
守山 尾下さん朝倉で
アジ釣り
釣果ーチヌ アジ
写真のとうり
京都 奥村さん 井上さん
朝倉で五目釣り
釣果ー中アジ アジ グレ
写真のとうり
京都 入江さん夫妻
朝倉で五目釣り
釣果ーサバ サゴシ
ツバス アジ
写真のとうり
京都 竹内さん 寺師さん
児島でアオリイカ釣り
釣果ーアオリイカ4ハイ
デカ


7日(金)
干潮 9:44 21:21
満潮 1:53 16:43 大潮
更新されていない
totomaruのフアンより
問い合わせ頂きました
ブログやっと更新できました。11/10
8日(土)


干潮 10:39 21:29
満潮 2:34 17:51 中潮
大阪 松本さん人生
初めての
アオリイカ釣り
釣果ーアオリイカ 1ハイ
写真のとうり
京都 清水さん朝倉で
五目釣り
釣果ーヒラメ 鯖 アジ
写真のとうり
京都 奥田さん朝倉で
チヌ釣り
釣果ーチヌ
大津 原田さん漁協前
一文字で
チヌ釣り
釣果ーチヌ2
写真のとうり

9日(日)
干潮 11:38
満潮 3:21 中潮 雨
伊丹 田中さんらイカダで
アオリイカ釣り
釣果ーツバス
イカは風つよく釣果なし
10日(月)
干潮 12:41
満潮 4:15 中潮
強風で雨降りの日
11日(火)
干潮 5:15
満潮 13:49 小潮 曇 風強く
大津 鶴田さん 三崎さん
漁協前一文字で
五目釣り
釣果ーチヌ 1 アオリイカ 2
12日(水)

干潮 15:02
満潮 6:26 23:40 小潮 曇
守山 尾下さん朝倉で
アジ釣り
釣果ー50匹以上
写真ノのとうり
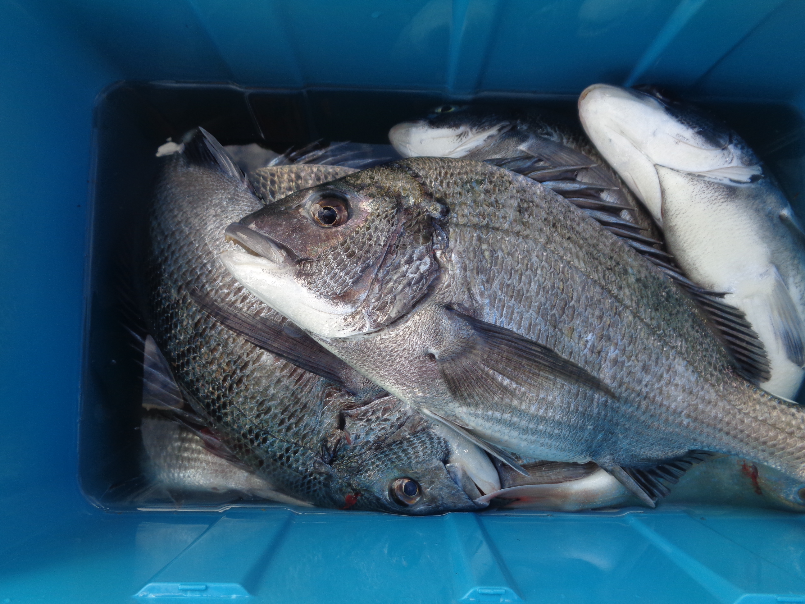
京都 成瀬さん朝倉で
チヌ釣り
釣果ーチヌ40c頭に
14匹
写真のとうり

13日(木)゛
干潮 3:18 16:09
満潮 7:52 23:31 小潮 曇
川西 池田さん朝倉で五目釣り
釣果-スズキ 75c 2本
写真のとうり

14日(金
干潮 4:39 17:06
満潮 9:30 23:34 長潮 曇
船井郡 坂本さん朝倉で
五目釣り
短時間で
釣果ーアジ約40匹
写真のとうり

15日(土)
干潮 5:39 17:52
満潮 11:02 23: 43 若潮 晴
長岡京 飯田さん
朝倉で五目釣り
釣果ーサバ アジ
大津 西井さんら児島で
アオリイカ釣り
釣果ーアオリイカ5ハイ
栗東市 後藤さん五目釣り
釣果ーアコ 写真のとうり

16日(日)

干潮 6:25 18:27
満潮 12:19 18:17 中潮 晴
大津 吉野さんイカダで
五目釣り
釣果ーアジ グレ
京都 安達さん朝倉でチヌ釣り
釣果ーチヌ 鯖 アジ
写真のとうり
槇尾さん朝倉で
五目釣り
釣果ーチヌ10数匹 アジ
写真のとうり

17日(月)
干潮 7:02 18:5
満潮 13:24 中潮
晴 ~14:00~曇風強く~雨
数組の釣り師 挑戦するも釣果は
小アジ 鯖 。
18日(火)
干潮 7:35 19:10
満潮 0:08 14:19 中潮
一日中風雨強く寒いです。
悪天候の予報にて
渡船は休業します。
19日(水)
干潮 8:05 19:19
満潮 0:25 15:05 大潮
時々冷たい雨降りの日
悪天候の予報にて
渡船は休業します
20日(木)
干潮 8:37 19:30
満潮 0:46 15:47 大潮 曇り
京都 田中さん
朝倉でチヌ釣り
釣果ーチヌ1
写真のとうり
天理市 南さん五目釣り
釣果ーアジ グレ
京都 寺師さんら
アオリイカ釣り
釣果ーアオリイカ800g
エギです
写真のとうり

21日(金)
干潮 9:11 19:46
満潮 1:11 16:26 大潮 晴
京都 加藤さん朝倉で
五目釣り
釣果ー小あじ ツバス
美濃市 三輪さんイカダで
アオリイカ釣り
釣果ーアオリイカ1
22日(土)
干潮 9:48 19:50
満潮 1:40 17:06 大潮
曇り
京都 福島さん朝倉で
五目釣り
釣果ーヒラメ 鯖 アジ チヌ
写真のとうり

23日(日)勤労感謝の日
干潮 10;28
満潮 2: 18 大潮 晴れ
湖南市 佐藤さん朝倉で
チヌ釣り
釣果ーチヌ
写真のとうり

24日(月)振替休日

干潮 11:11
満潮 2:46 中潮 曇
守山 尾下さん朝倉で
アジ釣り
釣果ー鯖5本 アジ
写真のとうり
一宮市 加藤さん
アオリイオ釣り
ヤエンです
釣果ーアオリイカ 2ハイ

25日(火)
干潮 11:57
満潮 3:22 中潮曇り
11/25 悪天候の予報にて
渡船は休業します
26日(水)
干潮 12:46
満潮 4:02 中潮
一日中雨降ったりやんだり
11/26悪天候の予報にて
渡船は休業します
27日(木)
堀口会
干潮 13:38
満潮 4:51 小潮
曇り 午後~南風強くなる
美濃加茂 川合さん朝倉で
五目釣り
~11:00
釣果ーヒラメ アジ
写真のとうり

28日(金)

干潮 14:32
満潮 5:58 22:16 小潮 曇り
北西の風強く
栗東市 後藤さん親子
五目釣り
釣果ーヒラメ48c アコ
10匹以上
写真のとうり

29日(土)

干潮 3:11 15:28
満潮 7:33 22:14 小潮 曇り
京都 福島さん親子朝倉で
五目釣り
釣果ー鯖 マコチ 57c
写真のとうり
大津 原田さん漁協前
一文字でチヌ釣り
釣果ーチヌ2

30日(日)
干潮 3:11 15:28
満潮 7:33 22:14 小潮 曇り
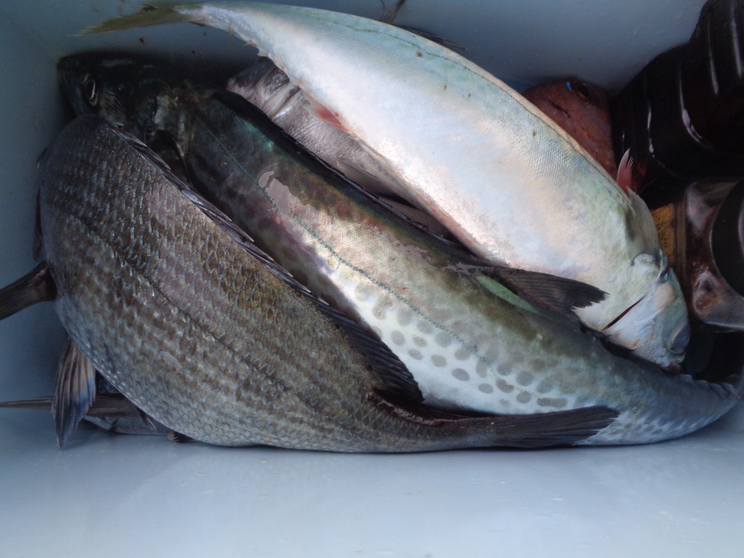
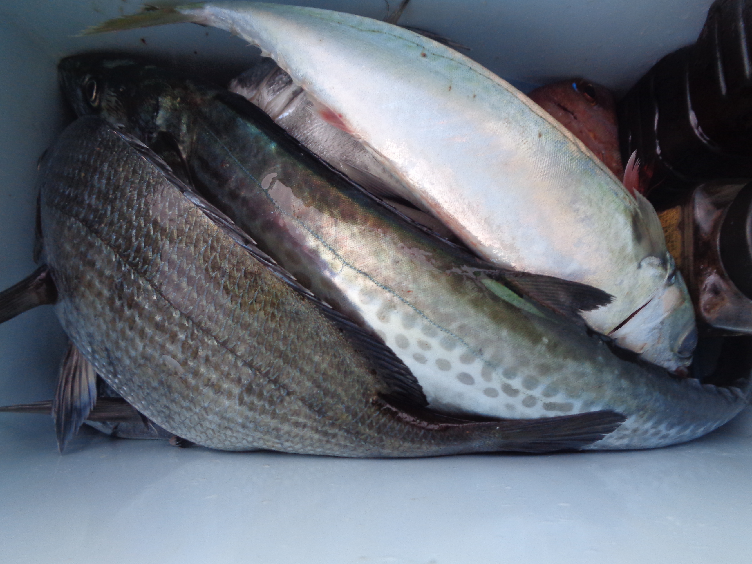
京都 槇尾さん 安達さん
朝倉でチヌ釣り
釣果ーチヌ 鯖 サゴシ
写真は槇尾さんの

![]()
![]()



