1日(月)
干潮 5:18 17:14
満潮 11:09 22:51 若潮 晴れ
釣り客なし
2日(火)
干潮 16:09 18:02
満潮 12:39 2321 中潮 曇り
守山 尾下さん朝倉で
五目釣り
釣果ーあじ スズキ
ツバス
京都 赤星さん朝倉で
チヌ釣り
釣果ーチヌ6匹
持ち帰り1匹

3日(水)
干潮 7:00 18:45
満潮 13:57 23:57 中潮
曇り~ミゾレ
12/3 悪天候のため渡船は休業します。
4日(木)
干潮 5:53 19:22
満潮 7:53 大潮
雪降ったりやんだりの日![]()
12/4も悪天候の予報にて
渡船は休業 します。
5日(金)
干潮 8:42 19:54
満潮 0:37 19:54 大潮
北東の風強く 寒いです。
ミゾレ降ったりやんだり。
6日(土)

干潮 9:46 20:15
満潮 1:29 16:55 大潮 晴れ
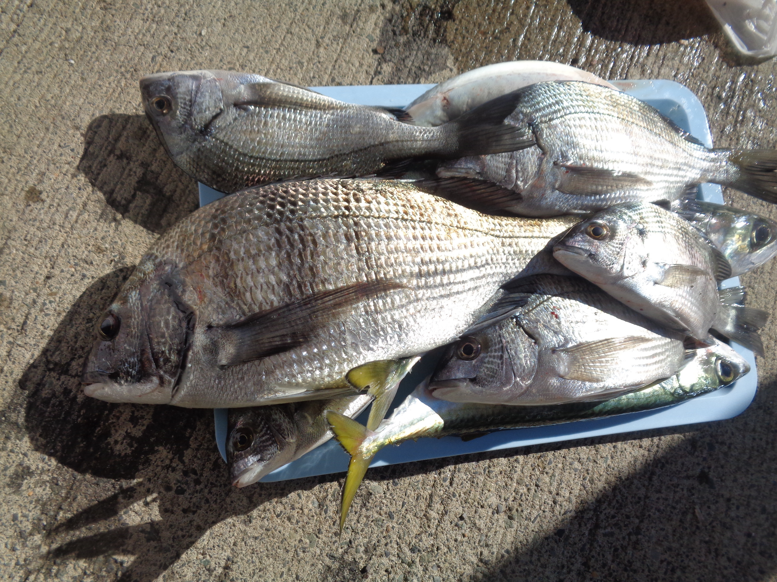
京都 近藤さん朝倉で
五目釣り
釣果ーチヌ 鯖
写真のとうり

7日(日)
干潮 10:35 20:34
満潮 21:21 17:51 大潮 晴れ
京都 澤田さん朝倉で
五目釣り
釣果ーチヌ(40cクラス) 2匹
サビキで
8日(月)
干潮 11:30
満潮 3:16 中潮 曇り~雨
9日(火)
干潮 12:25
満潮 4:12 中潮
冷たい雨~午後晴れ
10日(水)

干潮 13:19
満潮 5:09 20:39 小潮 曇り
京都 槇尾さん 権藤さん
朝倉でチヌ釣り
釣果ーチヌ マアジ 2

11日(木)
干潮 1:09 14:11
満潮 6:10 21:16 小潮
曇り南風強く
渡船は休業します
(通院治療のため)
12日(金)
干潮 2:40 15:00
満潮 7:23 21:43 小潮
13日(土)
干潮 4:03 15:45
満潮 9:03 22:00 長潮 曇り
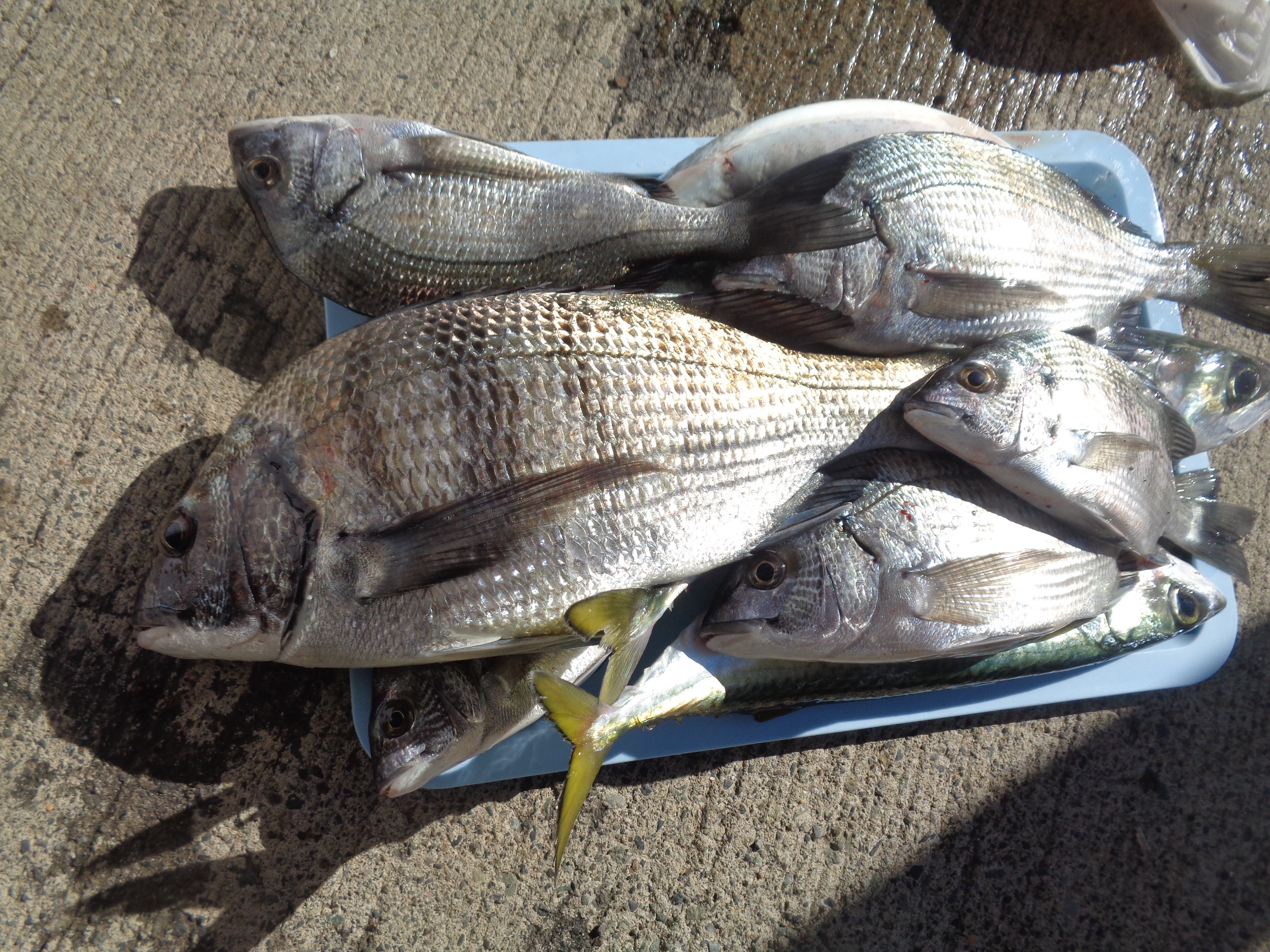
京都 清水さん朝倉で
五目釣り
釣果ーアジ カワハギ 他
写真のとうり

14日(日)
干潮 5:12 16:21
満潮 11:10 22:22 若潮
北西の風強く
12/14 悪天候のため
渡船は休業します
15日(月)
干潮 6:04
満潮 22:40 若潮
北風強く雨 寒くなった。
悪天候のため渡船は
休業します
16日(火)
通院治療で渡船は
休業します。
干潮
満潮
17日(水)
干潮 7:17
満潮 23:29 中潮
18日(木)
干潮 7:50 中潮
満潮
渡船は休業します
(12/18 警戒船に使用の為)
19日(金)
干潮 8:25
満潮 0:04 大潮
20日(土)
干潮 9:01 19:10
満潮 0:43 16:37 大潮
21日(日)
干潮 9:40 19:42
満潮 1:25 17:01 大潮
22日(月)
干潮 10:20 20:11
満潮 2:06 17:30 大潮
23日(火)
干潮
満潮
24日(水)
干潮
満潮
25日(木)
干潮
満潮
26日(金)
干潮
満潮
27日(土)
干潮
満潮
28日(日)
干潮
満潮
29日(月)
干潮
満潮
30日(火)
干潮
満潮
31日(水)
干潮
満潮



