1日(日)
干潮 0:54
満潮 17:28 中潮 風強く
3月下旬の気候で寒い
クリーンアップ大作戦
7:30 より 各世帯1名以上動員して海岸沿いの清掃をおこないます。
釣りの方は 7:00まで
お願いします。
2日(月)
干潮 1:49
満潮 18:27 小潮 曇り
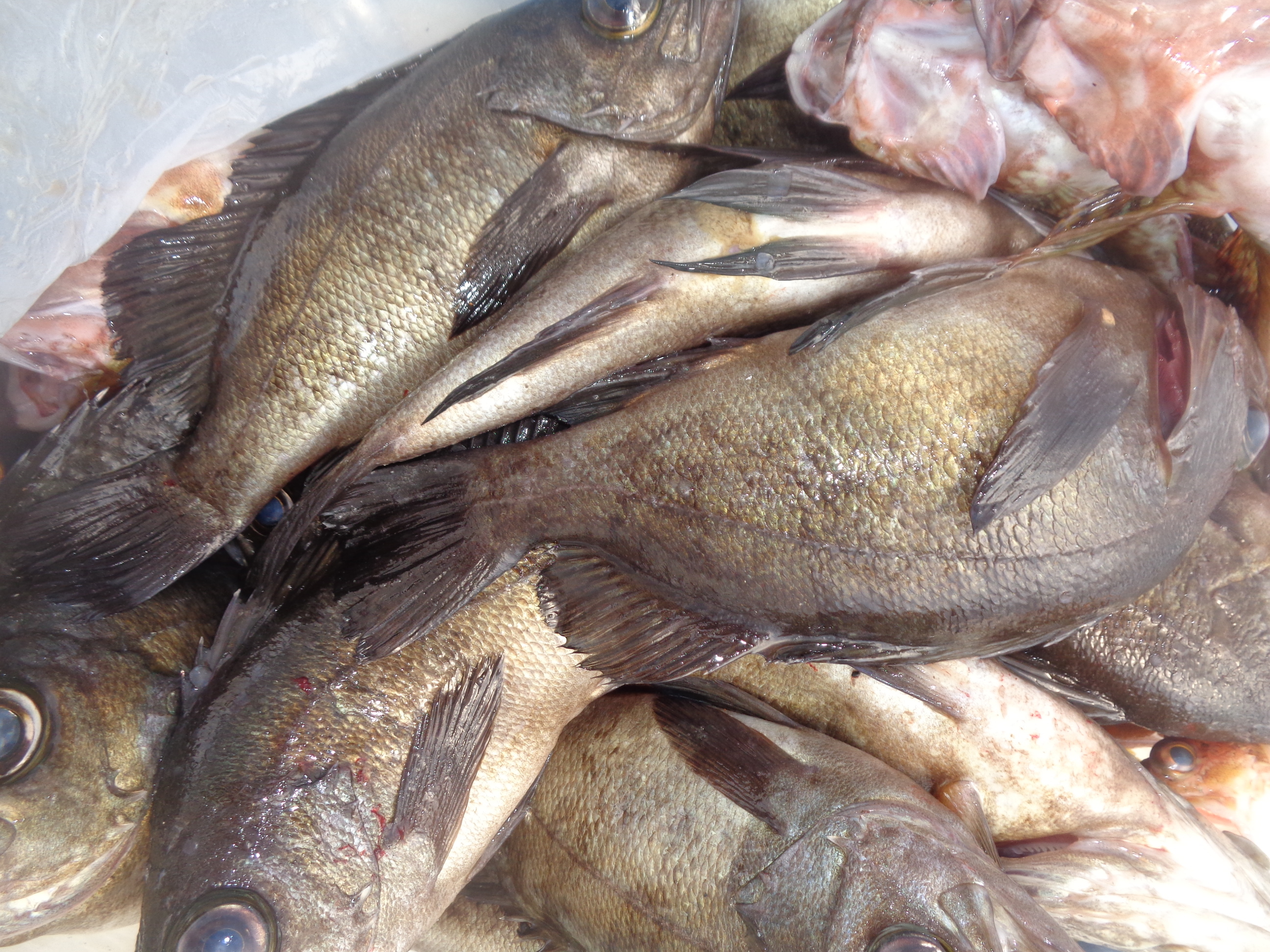
大津 稲尾さん朝倉で
チヌ釣り
~12:00
釣果ーチヌ 3匹
写真のとうり

3日(火)
干潮 2:42 15:15
満潮 10:30 19:40 小潮 雨
釣り客なし
4日(水)
干潮 3:29 16:33
満潮 10:35 21:14 小潮 曇り
釣り客なし
5日(木)
干潮 4:09 17:32
満潮 10:44 22:59 長潮 晴れ
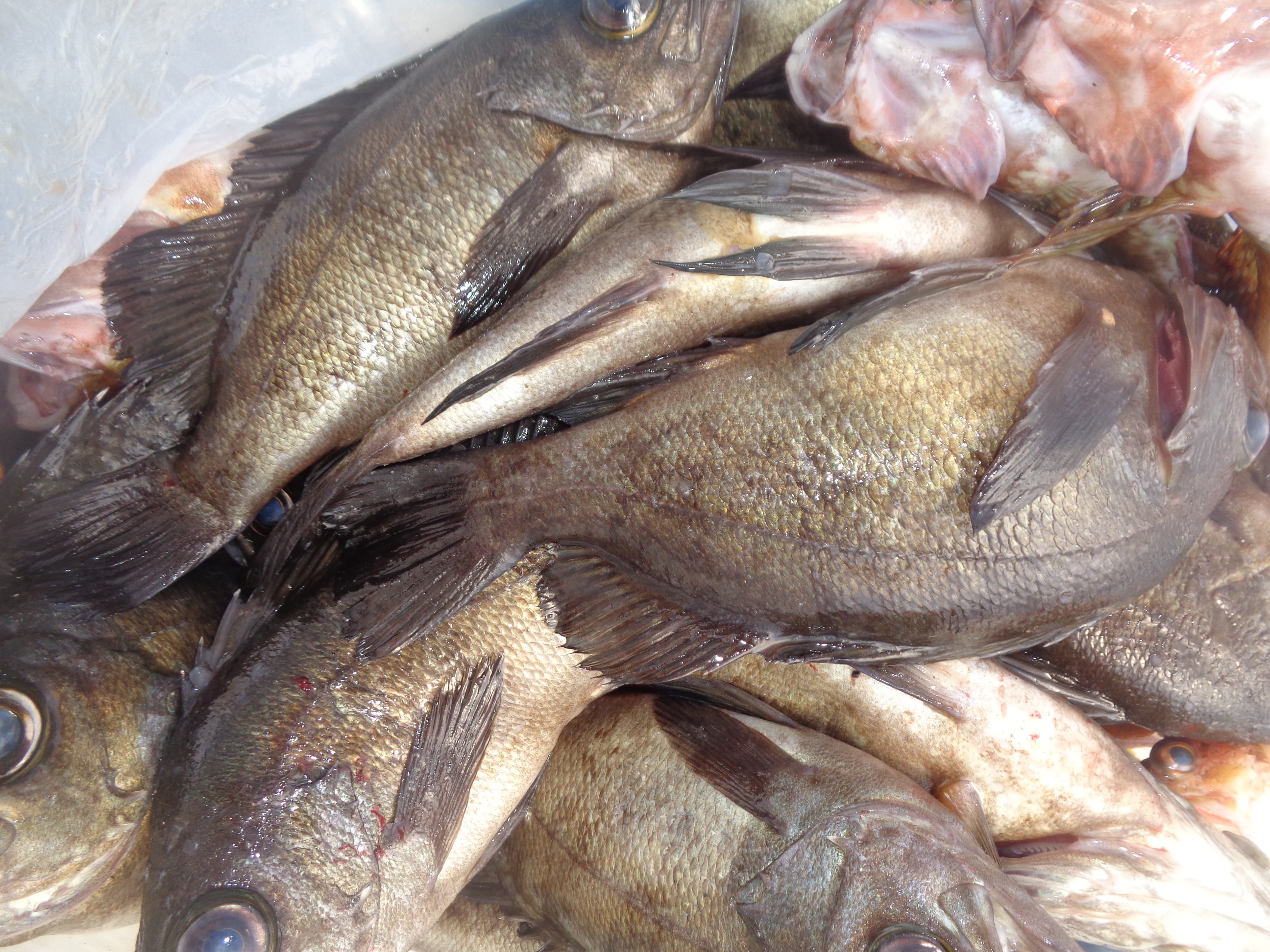
亀岡 上田さんら児島で
メバル釣り
9:00~13:00
釣果ー良型のメバル
約30匹 写真のとうり

6日(金)
干潮 4:36 18:15
満潮 10:54 若潮 曇り
宇治 岸野さんさんら児島で
チヌ釣り
釣果ー小チヌ アコ

7日(土)
干潮 4:50 18:51
満潮 0:39 11:07 中潮 晴れ
今日は サゴシ ツバス カサゴ
メバル アコ キス 釣れる。
名古屋市 田島さん夫妻
一文字で根魚狙い
釣果ーアコ 30c 頭に
メバル ガシラ
写真のとうり

8日(日)
干潮 5:00 19:24
満潮 2:06 11:25 中潮 曇り
今日も アコ ガシラ チヌ 好調
栗東市 木村さん沖提で
アオリイカ釣り
~12:00
釣果ーアオリイカ 800g 1ハイ
写真のとうり
今期 初 です。

9日(月)
若狭も梅雨入りです。
干潮 19:58
満潮 11:50 中潮 曇り~雨
釣り客なし
10日(火)
干潮 20:35
満潮 12:21 大潮 雨
釣り客なし
11日(水)🌕満月
干潮 21:14
満潮 12:58 大潮 雨
釣り客なし
12日(木)
干潮 21:56
満潮 13:38 大潮 晴れ
宝塚市 芳賀さん冠者島で
キス釣り ~13:00
釣果ーキス 30匹
写真のとうり

13日(金)
干潮 22:39
満潮 14:19 大潮 曇り
名古屋市 田島さん夫妻児島で
根魚狙い
釣果ーアコ 主に50匹以上
写真のとうり
大半は放流

14日(土)
干潮 23:14
満潮 15:01 中潮
風雨強く
15日(日)
干潮
満潮 15:46 中潮 小雨~曇り
釣り客なし
16日(月)
干潮 0:09
満潮 16:35 中潮 曇り
猛暑日南風 釣り客なし
17日(火)
干潮 0:55
満潮 17:33 小潮 晴れ
ムシムシ 暑くて
釣り客なし
18日(水)
干潮 1:40 13:36
満潮 8:36 18:45 小潮 曇り
蒸し暑くて 釣り客なし
19日(木)
通院日の為
渡船は休業します。
干潮
満潮 堀口会
20日(金)
干潮 3:12 16:16
満潮 9:24 22:09 長潮 晴れ
尼崎 後藤さん朝倉で
五目釣り
釣果ーチヌ グレ
写真のとうり
猛暑の中 頑張りました。

21日(土)

干潮 3:57 17:22
満潮 9:53 若潮 晴れ
南風強く
京都 長谷部さん児島で
キス釣り
釣果ーキス 27C 2匹
他 てんぷらサイス゜
写真のとうり
京都 穴見さん漁協前
一文字で五目釣り
11時~
釣果ーサンバソウ グレ
写真のとうり

22日(日)
干潮 4:40 18:23
満潮 0:00 10:28 中潮 曇り
大津 稲尾さん漁協前一文字で
チヌ釣り
釣果ーチヌ 42c 頭に7匹
写真のとうり

23日(月)
干潮 5:19 19:21
満潮 1:44 11:10 中潮
雨降ったり止んだり
釣り客なし
24日(火)
干潮 5:50 20:17
満潮 3:03 11:59 中潮 曇り
釣り客なし
25日(水)🌑新月
干潮 21:12
満潮 12:51 大潮 晴れ
亀岡 上田さん児島で
メバル釣り
10:30~13:30
釣果ーメバル 短時間で大漁
写真のとうり

26日(木)
通院日にて渡船は
休業します
干潮 22:05
満潮 13:46 曇り
27日(金)

干潮 7:32 22:55
満潮 5:19 14:41 大潮 曇
豊明市 松山さんら
イカダで五目釣り
釣果ーハネ サゴシ
アコ ガシラ
写真のとうり

28日(土)

干潮 8:27 23:43
満潮 5:57 15:34 中潮 晴れ
京都 福嶋さんら朝倉て
五目釣り
釣果ー小あじ タケノコメバル
写真のとうり
神戸 前北さんら児島で
五目釣り
釣果ー ガシラ 多数
写真のとうり
- 宇治市 安道さん
- 冠者島で 五目釣り
釣果ー真鯛 50c
写真のとうり

29日(日)
干潮 9:20
満潮 6:36 16:25 中潮 晴れ
特別な釣果ありませんでした
30日(月)
干潮 0:27 11:46
満潮 7:15 17:14 中潮 晴れ
釣り客なし




