1日(日)
干潮
満潮
親戚 仏事にて渡船は
休業させて頂きます。
2日(月)

干潮 9:19 19:49
満潮 1:10 16:35 大潮 晴れ
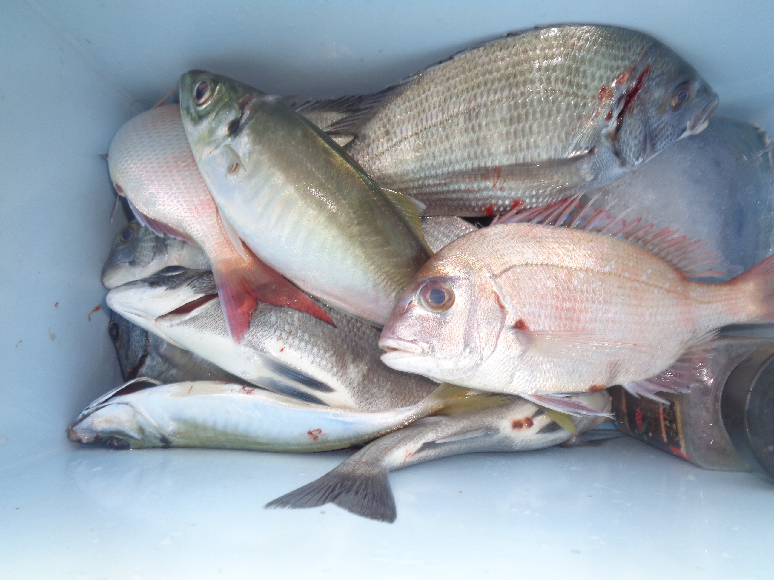
大津 稲尾さん朝倉て゛
チヌ釣り
釣果ーチヌ12マイ
写真のとうり
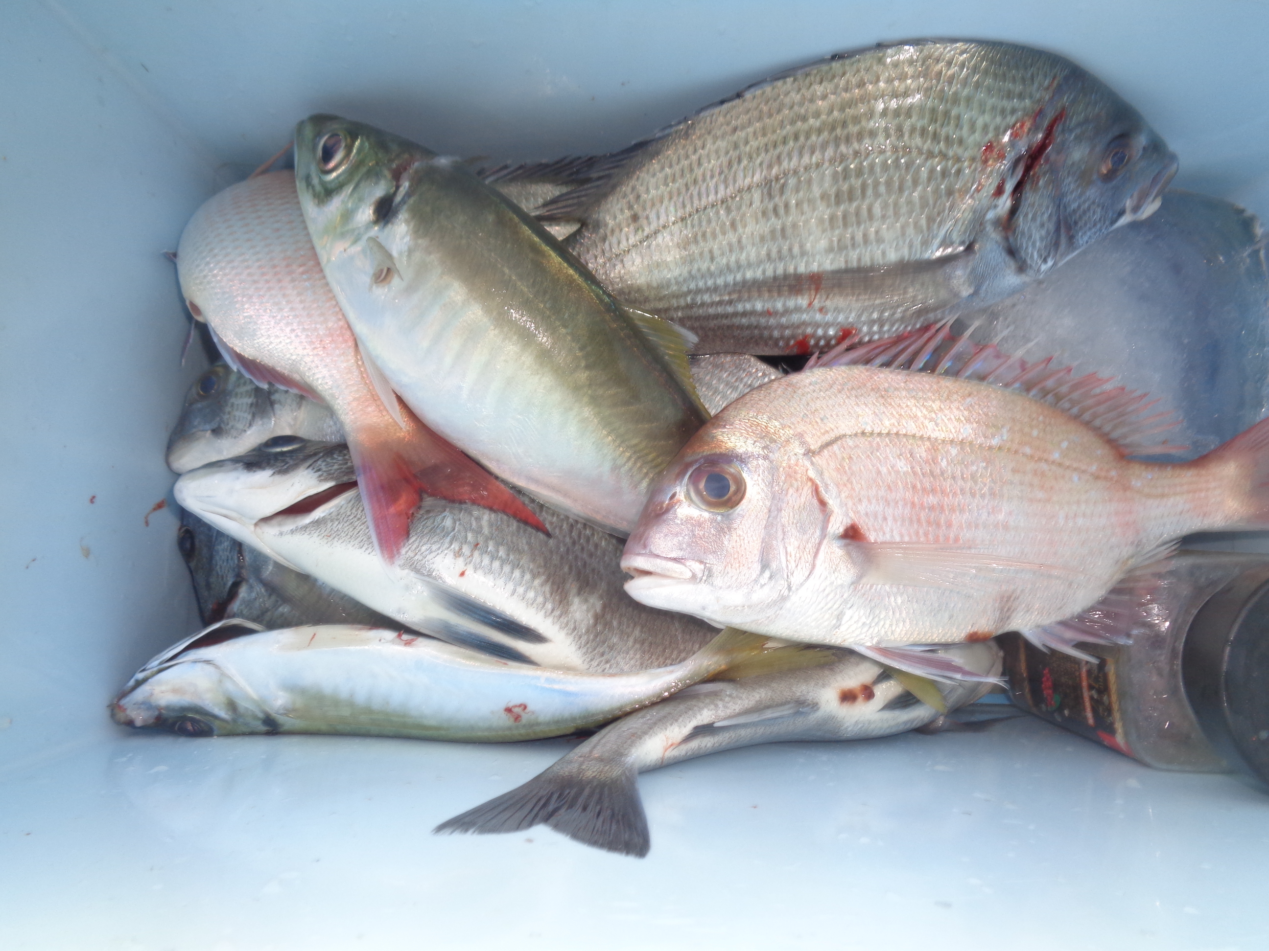
京都 槇尾さん朝倉で
五目釣り
釣果ーチヌ15マイ マタイ
アジ
写真のとうり

3日(火)
干潮 10:02 20:01
満潮 1:47 17:17 大潮
曇り
4日(水)
干潮 10:47
満潮 2:26 中潮 曇り
北西の風強く釣り客なし
5日(木)

干潮 11:35
満潮 3:09 中潮 曇り
栗東市 日野さん朝倉で
五目釣り
釣果ースズキ 65c 中アジ
写真のとうり
亀岡 松岡さん 朝倉で
五目釣り
釣果ー中アジ チヌ
写真のとうり

6日(金)
干潮 12:26
満潮 3:56 中潮 風強く
釣り客なし
7日(土)
干潮
満潮
雨~曇り 風強く
8日(日)
干潮 14:15
満潮 5:57 21:24 小潮
風雨強く 釣り客なし
9日(月)
干潮 2:29 15:12
満潮 7:23 21:43 小潮
雨降ったり止んだり
北西の風強く
釣り客なし
10日(火)
干潮 3:54 16:07
満潮 9:10 22:07 長潮
曇り~雨
美濃加茂 川合さん 柘植さん
朝倉で五目釣り
釣果ースズキ マコチ アジ
写真のとうり

11日(水)
干潮 5:02 16:59
満潮 11:00 22:34 若潮 曇り~雨
釣り客なし
12日(木)
干潮 6:01 17:47
満潮 12:40 23:07 中潮
風雨にて釣り客なし
13日(金)
干潮 6:56 18:30
満潮 14:06 23:45 中潮
悪天候の予報にて
渡船は休業します
14日(土)
干潮 7:49 19:06
満潮 15:13 大潮
ミゾレです。
周りが白くなつた。 ![]()
悪天候(雨)の予報にて
船は休業します
15日(日)
干潮 8:40 19:33
満潮 0:29 16:05 大潮![]()
悪天候の予報にて
渡船は休業します。
16日(月)
干潮 9:30 19:51
満潮 1:17 16:51 大潮 曇り
川西 池田さん親子朝倉で
五目釣り
釣果ースズキ 70c 他アジ
写真のとうり

17日(火)
干潮 10:20 20:10
満潮 2:06 17:35 大潮 曇り
挑戦するも釣果は
青アジ ばっかり
18日(水)
干潮
満潮
12/18 特定操縦免許
講習の為渡船は休業します。
19日(木)
干潮 11:54
満潮 3:43 中潮
北東の風強く今 ミゾレです。
20日(金)
干潮 12:38
満潮 4:28 中潮 曇り
風強く
21日(土)
干潮 13:12
満潮 5:10 20:22 小潮
明日 南風強く午後~雨の
予報にて渡船は休業します
22日(日)
干潮 1:24 13:52
満潮 6:02 21:00 小潮 ミゾレ
北西の風強く
初冬の嵐です。
23日(月)
干潮 2:53 14:17
満潮 7:09 21:17 小潮
小雪降ったり止んだり
24日(火)
干潮 4:12 14:26
満潮 9:06 21:31 小潮
雨~曇り
25日(水)
干潮 5:11
満潮 21:46 長潮
久しぶりに穏やかな
釣り日でした。
大津 西田さん朝倉で
中アジ釣り
釣果ー中アジ約20匹
美濃加茂 川合さん朝倉で
中アジ釣り
釣果ー中アジ約30匹
写真のとうり

26日(木)
干潮 5:56
満潮 22:09 若潮 曇り
午後~雨
イカダの移動 間一髪 完了。
疲れた。
27日(金)
干潮 6:34
満潮 22:41 中潮 曇り 風強く
釣り客なし
28日(土)
干潮 7:11
満潮 23:21 中潮 曇り~ミゾレ
北西の風強く
竿納の日
29日(日)
干潮 7:49
満潮 中潮
30日(月)
干潮
満潮 曇り
31日(火)
干潮
満潮
![]()
![]()



