1日(火)
干潮 10:34 23:20
満潮 4:51 15:43 中潮 曇り
釣り客なし
2日(水)
干潮 10:57
満潮 6:02 16:08 中潮
3日(木)
干潮 0:17
満潮 16:57 中潮 曇り
北西の風強く 寒いです
4日(金)
干潮 1:21
満潮 17:44 小潮 曇り
寒いです 釣り客なし
5日(土)
干潮 2:39
満潮 18:47 小潮 曇り
アオイカ釣りに挑戦するも釣果なし。
6日(日)
干潮 4:09
満潮 20:16 小潮 曇り
チヌ 釣りに挑戦するも釣果なし。
7日(月)
干潮 5:25 17:40
満潮 14:04 21:54 長潮 晴れ
釣り客なし
8日(火)
干潮 6:22 18:32
満潮 13:45 23:16 若潮
曇り 釣り客なし
9日(水)
干潮 7:06 19:11
満潮 13:37 中潮 曇り
中アジ釣りに挑戦するも釣果なし
10日(木)
干潮 7:40 19:45
満潮 0:21 13:40 中潮 小雨
風強く 釣り客なし
11日(金)
干潮 8:08 20:16
満潮 1:16 16:50 中潮
霧雨です。釣り客なし
12日(土)
干潮 8:30 20:47
満潮 2:05 14:02 大潮
曇り
親戚の法事の為渡船は休業します
13日(日)
干潮 8:48 21:15
満潮 2:51 14:15 大潮 曇り
風強く 釣客なし
14日(月)
干潮 9:00 21:50
満潮 14:30 大潮 晴れ
釣り客なし イカダノ修繕
15日(火)
干潮
満潮
4/15 高齢者運転免許講習にて
渡船は休業します。
16日(水)
干潮 9:04 23:04
満潮 5:07 15:06 中潮
チヌ釣りに挑戦するも釣果なし
17日(木)
干潮 8:42 23:47
満潮 6:00 15:28 中潮
輝 転倒
渡船は休業します
18日(金)
干潮
満潮 15:52 中潮 晴
釣り客なし
19日(土)
干潮 0:34
満潮 16:21 小潮 晴
チヌ釣りに挑戦するも釣果なし
20日(日)
干潮 1:31
満潮 16:59 小潮 曇り
釣り客なし
21日(月)
干潮 2:41
満潮 18:08 小潮 晴れ
高島市 林さんら沖提で
五目釣り
釣果ーヤリイカ 2 甲イカ 1
写真のとうり

22日(火)
干潮
満潮
白内障手術にて渡船は
休業します。
4/22~4/23
23日(水)
干潮
満潮 手術終了です。よく見える。
片道40k位なら休憩なしでもOK>
渡船は休業します。
24日(木)
干潮 5:54 18:02
満潮 12:30 23:22 中潮
午前中 霧雨 予報外れた。
25日(金)
小山さん
干潮 6:41 18:51
満潮 12:37 中潮 曇り
北風が強く苦戦 寒いです
26日(土)
干潮 4:25 19:41
満潮 0:40 12:55 中潮 晴れ
最高の釣り日和。
キス ガシラ釣りに挑戦。
釣果はキス ガシラ 各人約10匹
27日(日)
干潮 8:06 20:32
満潮 1:53 13:20 大潮 晴れ
京都 安達さんら朝倉で
チヌ釣り
釣果ー小チヌ 3匹
長岡京 飯田さん 児島で
キス釣り
釣果ーキス10匹 (お持ち帰り)

28日(月)
干潮
満潮 午前中雨~曇り
渡船は休業します
術後の経過 診断の為。
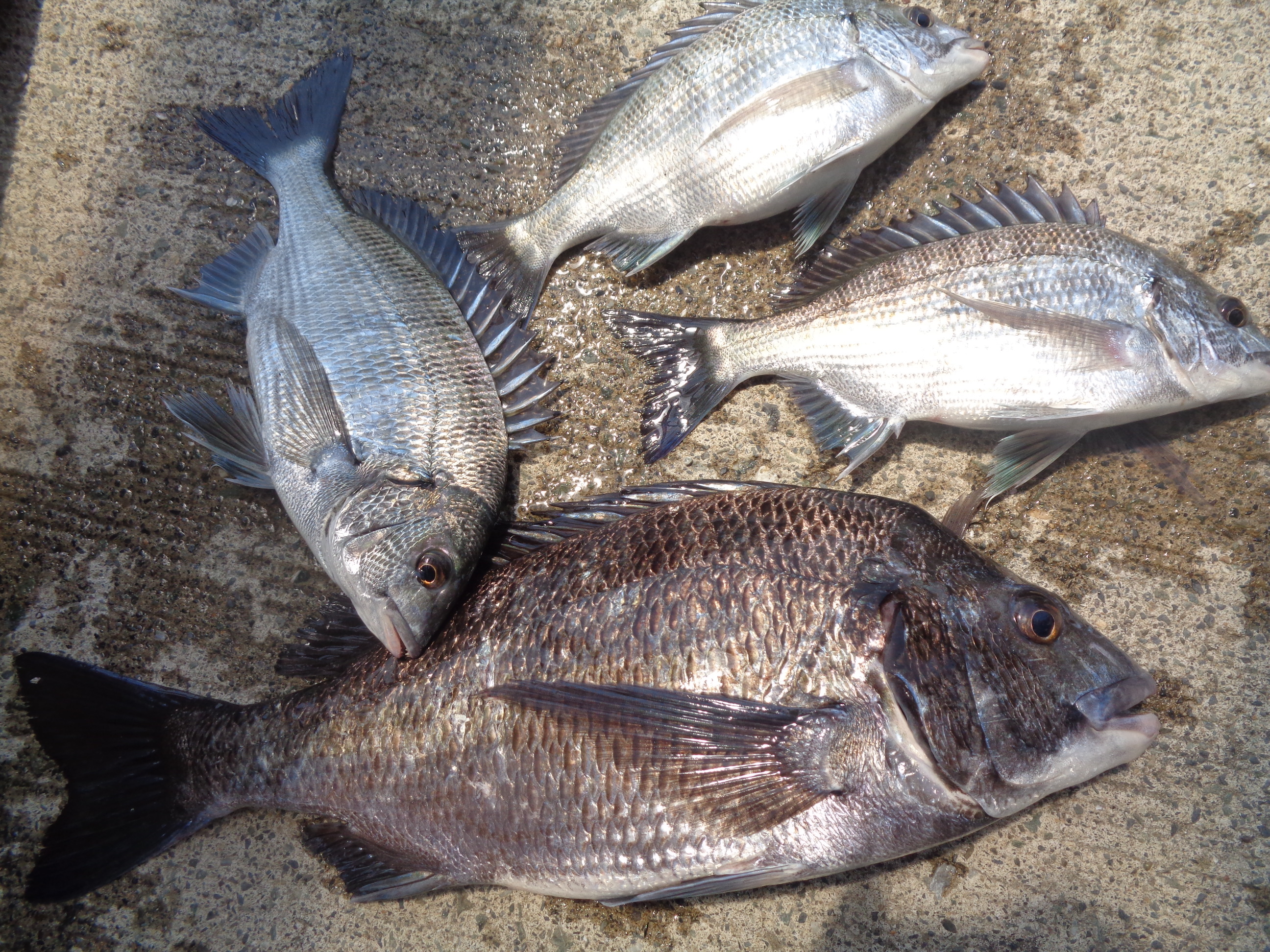
29日(火) 昭和の日
干潮 9:19 22:16
満潮 4:06 14:26 大潮 曇り
北西の風強く釣り師大苦戦
京都 成瀬さん朝倉で
チヌ釣り
釣果ー小チヌ せいご
写真のとうり

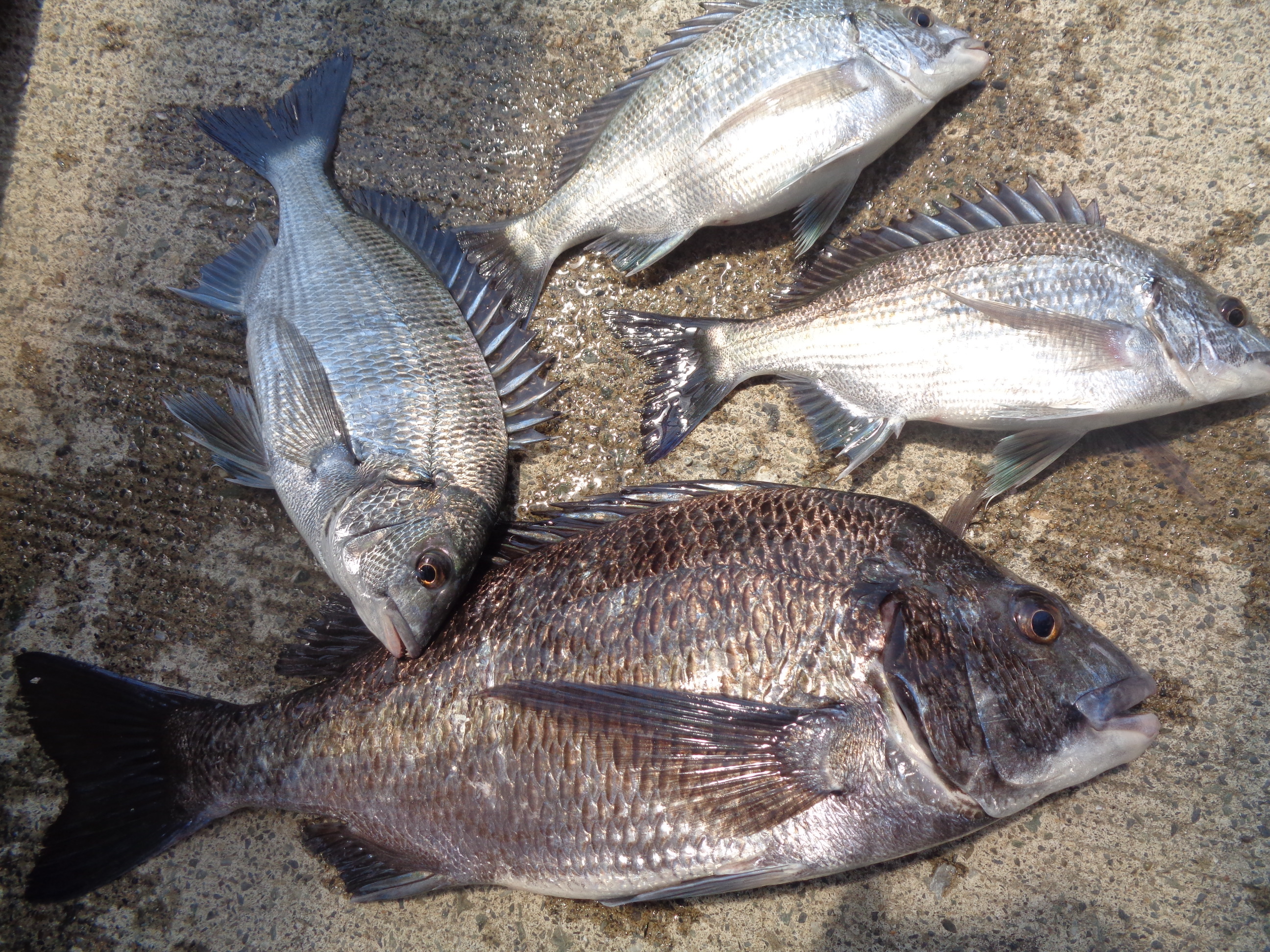
30日(水)

干潮 9:46 23:10
満潮 5:13 15:06 中潮 晴れ
昨日とは違い今日は暖かい。
京都 稲上さん冠者島で
キス釣り ~12:00
釣果ーキス 16匹
写真のとうり
大津 福永さん朝倉で
チヌ釣り
釣果ー46c頭に4匹
~12:00
写真のとうり





